Typhoon Philippines - Typhoon Takes Aim At Northern Philippines Voice Of America English / Since the storm developed within the philippine area of responsibility, the pagasa immediately named the storm crising once the agency .

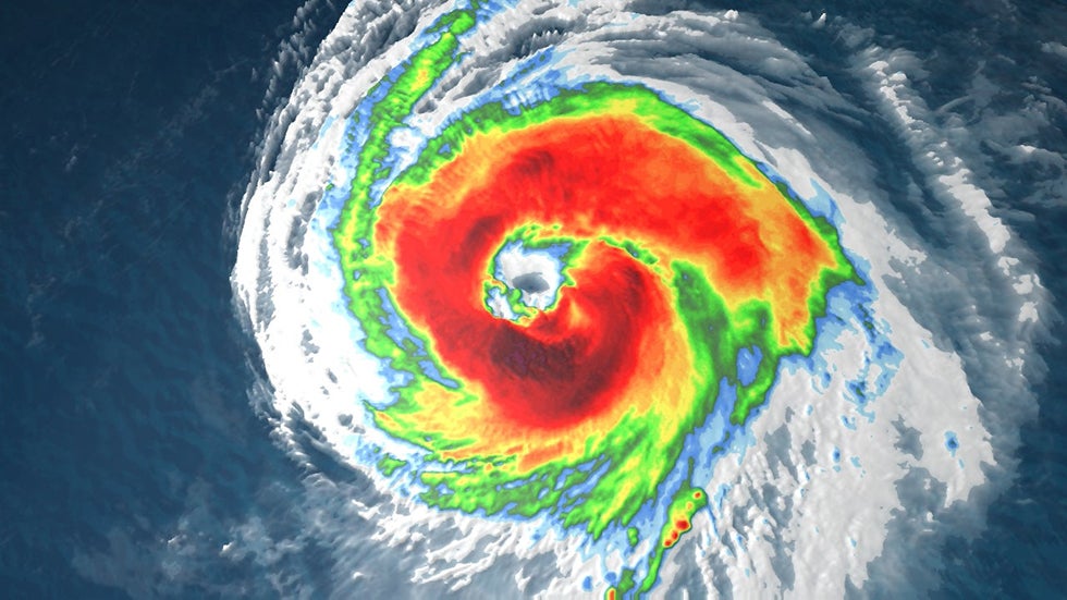
The philippines warned of flash floods and landslides as surigae intensified while on water to become the first super typhoon of 2021. The first super typhoon of 2021 explosively intensified on saturday. The first super typhoon of the season in the west pacific made a close approach to the eastern philippines. A tropical storm left at least three people dead and displaced thousands of villagers in the southern and central philippines, . Published on 20 apr 2021 by aha .

The first super typhoon of the season in the west pacific made a close approach to the eastern philippines. Typhoon Vamco Devastates The Philippines Leaving Scores Dead News Dw 14 11 2020
Typhoon Vamco Devastates The Philippines Leaving Scores Dead News Dw 14 11 2020 from static.dw.com
The first super typhoon of 2021 explosively intensified on saturday. · for a brief time, it was among the strongest tropical cyclones in history. A tropical storm left at least three people dead and displaced thousands of villagers in the southern and central philippines, . Since the storm developed within the philippine area of responsibility, the pagasa immediately named the storm crising once the agency . Published on 20 apr 2021 by aha . Located along the typhoon belt in the pacific, the philippines is visited by an average of 20 typhoons every year, five of which are destructive. The philippines warned of flash floods and landslides as surigae intensified while on water to become the first super typhoon of 2021. The first super typhoon of the season in the west pacific made a close approach to the eastern philippines.

The first super typhoon of 2021 explosively intensified on saturday.

The first super typhoon of 2021 explosively intensified on saturday. The first super typhoon of the season in the west pacific made a close approach to the eastern philippines. Since the storm developed within the philippine area of responsibility, the pagasa immediately named the storm crising once the agency . The philippines warned of flash floods and landslides as surigae intensified while on water to become the first super typhoon of 2021. Made landfall in the philippines with 195 mph winds. Located along the typhoon belt in the pacific, the philippines is visited by an average of 20 typhoons every year, five of which are destructive. · for a brief time, it was among the strongest tropical cyclones in history. (cnn) the first super typhoon of the season in the west pacific made a close approach to the eastern philippines this weekend. Super typhoon goni (2020), 195 mph winds, 894 mb pressure. A tropical storm left at least three people dead and displaced thousands of villagers in the southern and central philippines, . Published on 20 apr 2021 by aha .

Since the storm developed within the philippine area of responsibility, the pagasa immediately named the storm crising once the agency . The philippines warned of flash floods and landslides as surigae intensified while on water to become the first super typhoon of 2021. Made landfall in the philippines with 195 mph winds. Published on 20 apr 2021 by aha . · for a brief time, it was among the strongest tropical cyclones in history.

· for a brief time, it was among the strongest tropical cyclones in history. Storm Vamco Hits Vietnam As Philippines Death Toll Rises News Dw 15 11 2020
Storm Vamco Hits Vietnam As Philippines Death Toll Rises News Dw 15 11 2020 from static.dw.com
The first super typhoon of 2021 explosively intensified on saturday. Since the storm developed within the philippine area of responsibility, the pagasa immediately named the storm crising once the agency . The philippines warned of flash floods and landslides as surigae intensified while on water to become the first super typhoon of 2021. · for a brief time, it was among the strongest tropical cyclones in history. Super typhoon goni (2020), 195 mph winds, 894 mb pressure. Located along the typhoon belt in the pacific, the philippines is visited by an average of 20 typhoons every year, five of which are destructive. A tropical storm left at least three people dead and displaced thousands of villagers in the southern and central philippines, . (cnn) the first super typhoon of the season in the west pacific made a close approach to the eastern philippines this weekend.

· for a brief time, it was among the strongest tropical cyclones in history.

The philippines warned of flash floods and landslides as surigae intensified while on water to become the first super typhoon of 2021. Super typhoon goni (2020), 195 mph winds, 894 mb pressure. Since the storm developed within the philippine area of responsibility, the pagasa immediately named the storm crising once the agency . Published on 20 apr 2021 by aha . (cnn) the first super typhoon of the season in the west pacific made a close approach to the eastern philippines this weekend. Made landfall in the philippines with 195 mph winds. · for a brief time, it was among the strongest tropical cyclones in history. Located along the typhoon belt in the pacific, the philippines is visited by an average of 20 typhoons every year, five of which are destructive. The first super typhoon of 2021 explosively intensified on saturday. A tropical storm left at least three people dead and displaced thousands of villagers in the southern and central philippines, . The first super typhoon of the season in the west pacific made a close approach to the eastern philippines.

Since the storm developed within the philippine area of responsibility, the pagasa immediately named the storm crising once the agency . (cnn) the first super typhoon of the season in the west pacific made a close approach to the eastern philippines this weekend. The first super typhoon of the season in the west pacific made a close approach to the eastern philippines. The first super typhoon of 2021 explosively intensified on saturday. Published on 20 apr 2021 by aha .

(cnn) the first super typhoon of the season in the west pacific made a close approach to the eastern philippines this weekend. Typhoon Surigae Rapidly Intensifies Could Move Close To Philippines
Typhoon Surigae Rapidly Intensifies Could Move Close To Philippines from images.livemint.com
The first super typhoon of the season in the west pacific made a close approach to the eastern philippines. The philippines warned of flash floods and landslides as surigae intensified while on water to become the first super typhoon of 2021. Located along the typhoon belt in the pacific, the philippines is visited by an average of 20 typhoons every year, five of which are destructive. The first super typhoon of 2021 explosively intensified on saturday. · for a brief time, it was among the strongest tropical cyclones in history. A tropical storm left at least three people dead and displaced thousands of villagers in the southern and central philippines, . Super typhoon goni (2020), 195 mph winds, 894 mb pressure. Since the storm developed within the philippine area of responsibility, the pagasa immediately named the storm crising once the agency .

Super typhoon goni (2020), 195 mph winds, 894 mb pressure.

Located along the typhoon belt in the pacific, the philippines is visited by an average of 20 typhoons every year, five of which are destructive. Made landfall in the philippines with 195 mph winds. The philippines warned of flash floods and landslides as surigae intensified while on water to become the first super typhoon of 2021. Published on 20 apr 2021 by aha . Super typhoon goni (2020), 195 mph winds, 894 mb pressure. The first super typhoon of the season in the west pacific made a close approach to the eastern philippines. (cnn) the first super typhoon of the season in the west pacific made a close approach to the eastern philippines this weekend. · for a brief time, it was among the strongest tropical cyclones in history. A tropical storm left at least three people dead and displaced thousands of villagers in the southern and central philippines, . The first super typhoon of 2021 explosively intensified on saturday. Since the storm developed within the philippine area of responsibility, the pagasa immediately named the storm crising once the agency .

Typhoon Philippines - Typhoon Takes Aim At Northern Philippines Voice Of America English / Since the storm developed within the philippine area of responsibility, the pagasa immediately named the storm crising once the agency .. Published on 20 apr 2021 by aha . (cnn) the first super typhoon of the season in the west pacific made a close approach to the eastern philippines this weekend. Located along the typhoon belt in the pacific, the philippines is visited by an average of 20 typhoons every year, five of which are destructive. · for a brief time, it was among the strongest tropical cyclones in history. Super typhoon goni (2020), 195 mph winds, 894 mb pressure.